Compare Listings

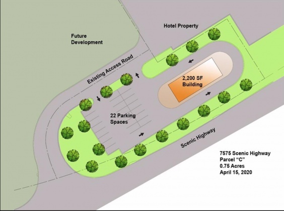
7575 Scenic Highway Pensacola- Florida 32504

Pensacola, Florida 32504

0.80 Acre
$760,000
MLS # #867243
Agent info
ERA American Real Estate
60 2nd St Suite A Shalimar, FL 32579
Contact Agent