Compare Listings

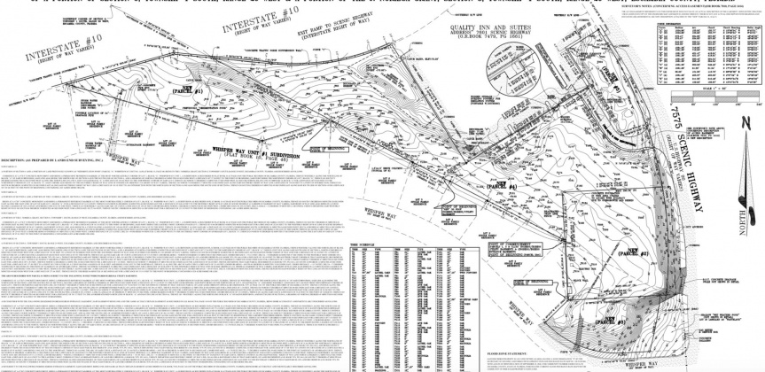
7575 Scenic Highway Pensacola- Florida 32504

Pensacola, Florida 32504

9.11 Acre
$2,314,000
MLS # #867240
Agent info
ERA American Real Estate
60 2nd St Suite A Shalimar, FL 32579
Contact Agent