Compare Listings

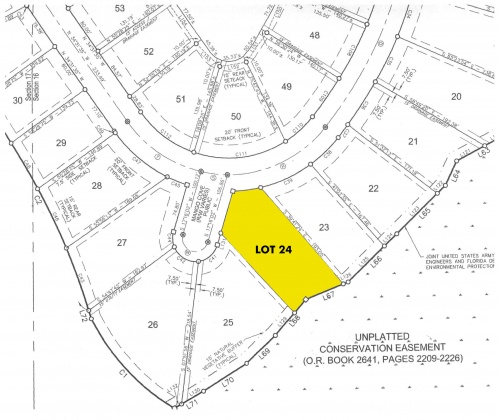
LOT 24 Mango Freeport- Florida 32439

Freeport, Florida 32439

0.38 Acre
$85,900
MLS # #862378
Agent info
ERA American Real Estate
60 2nd St Suite A Shalimar, FL 32579
Contact Agent